Großgruppe
Dicots / dicotylédones / Zweikeimblättrige
Familie
Moraceae
Gattung
Bosqueiopsis
Taxon
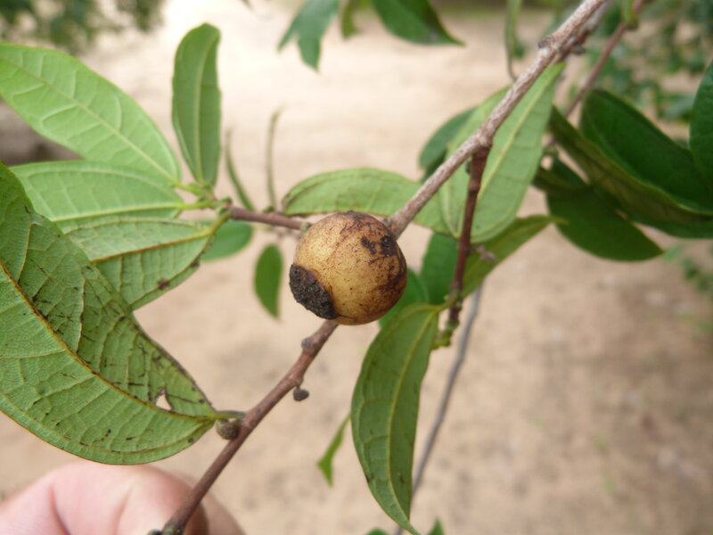
Bosqueiopsis gilletii De Wild. & T. Durand
Synonyme
Vernakularname
Region
-
Zentralafrika
-
Ostafrika
-
Südliches Afrika
Lebensform
- Phanerophyt
Wuchsform
- Strauch
- Baum
- holzig
Weitere Merkmale
Farbe
Symmetrie
Blütenstand
Blütenkrone
Anzahl der Blütenblätter
Anzahl der Staubblätter
Typ
Perikarp
- fleischig
Dehiszenz
Oberfläche
- unbehaart, glatt
Anordnung
- wechselständig
Struktur
- einfach
Form
- eiförmig oder elliptisch
Rand
- ganzrandig
Nervatur
- dreinervig
Links
- African Plant Database Namen, Synonymie und Verbreitung
- World Flora Online Beschreibungen, Verbreitung und Bibliographie
- JSTOR Plants Digitalisierte Typusbelege, Beschreibungen und Nutzung
- IPNI International Plant Names Index
- Tropicos Nomenklatur, Literatur, Verbreitung und Sammlungen
- GBIF Global Biodiversity Information Facility
- iNaturalist Fotobeobachtungen
- Google Images Bilder
- Zimbabwe Flora Onlineflora