Großgruppe
Dicots / dicotylédones / Zweikeimblättrige
Familie
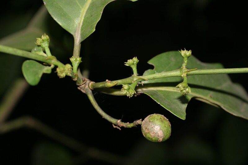
Rubiaceae
Gattung
Keetia
Taxon
Keetia multiflora (Schumach. & Thonn.) Bridson
Synonyme
Canthium multiflorum (Schumach. & Thonn.) Oliv.
Vernakularname
Region
-
Westafrika
Lebensform
Wuchsform
Weitere Merkmale
Farbe
Symmetrie
Blütenstand
Blütenkrone
Anzahl der Blütenblätter
Anzahl der Staubblätter
Typ
Perikarp
Dehiszenz
Oberfläche
Anordnung
Struktur
Form
Rand
Nervatur
Links
- African Plant Database Namen, Synonymie und Verbreitung
- World Flora Online Beschreibungen, Verbreitung und Bibliographie
- JSTOR Plants Digitalisierte Typusbelege, Beschreibungen und Nutzung
- IPNI International Plant Names Index
- Tropicos Nomenklatur, Literatur, Verbreitung und Sammlungen
- GBIF Global Biodiversity Information Facility
- iNaturalist Fotobeobachtungen
- Google Images Bilder
- Zimbabwe Flora Onlineflora