Großgruppe
Dicots / dicotylédones / Zweikeimblättrige
Familie
Phyllanthaceae
Gattung
Antidesma
Taxon
Antidesma rufescens Tul.
Synonyme
Vernakularname
Region
-
Westafrika
-
Zentralafrika
-
Ostafrika
-
Südliches Afrika
Lebensform
- Phanerophyt
Wuchsform
- Strauch
- Baum
- holzig
Weitere Merkmale
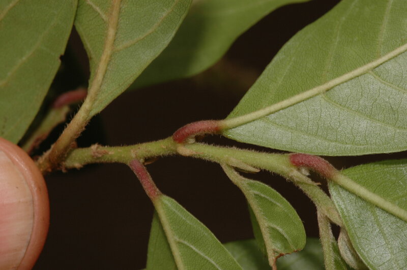
- große Nebenblätter
Farbe
-
braun
-
grün
-
rot
-
weiß
-
gelb
Symmetrie
- radiär-symmetrisch
Blütenstand
- ährig
Blütenkrone
Anzahl der Blütenblätter
- 0
Anzahl der Staubblätter
- niedrig (<=10)
Typ
- Steinfrucht
Perikarp
- fleischig
Dehiszenz
- Schließfrucht
Oberfläche
- unbehaart, glatt
Anordnung
- wechselständig
Struktur
- einfach
Form
- länglich bis linear
- eiförmig oder elliptisch
Rand
- ganzrandig
Nervatur
- fiedernervig
Links
- African Plant Database Namen, Synonymie und Verbreitung
- World Flora Online Beschreibungen, Verbreitung und Bibliographie
- JSTOR Plants Digitalisierte Typusbelege, Beschreibungen und Nutzung
- IPNI International Plant Names Index
- Tropicos Nomenklatur, Literatur, Verbreitung und Sammlungen
- GBIF Global Biodiversity Information Facility
- iNaturalist Fotobeobachtungen
- Google Images Bilder
- Zimbabwe Flora Onlineflora