Großgruppe
Dicots / dicotylédones / Zweikeimblättrige
Familie
Fabaceae
Gattung
Guibourtia
Taxon
Guibourtia copallifera Benn.
Synonyme
Vernakularname
Region
-
Westafrika
Lebensform
- Phanerophyt
Wuchsform
- Strauch
- Baum
Weitere Merkmale
Farbe
-
weiß
Symmetrie
Blütenstand
- traubig
Blütenkrone
- frei
Anzahl der Blütenblätter
- 4
Anzahl der Staubblätter
Typ
- Hülse
Perikarp
Dehiszenz
Oberfläche
- unbehaart, glatt
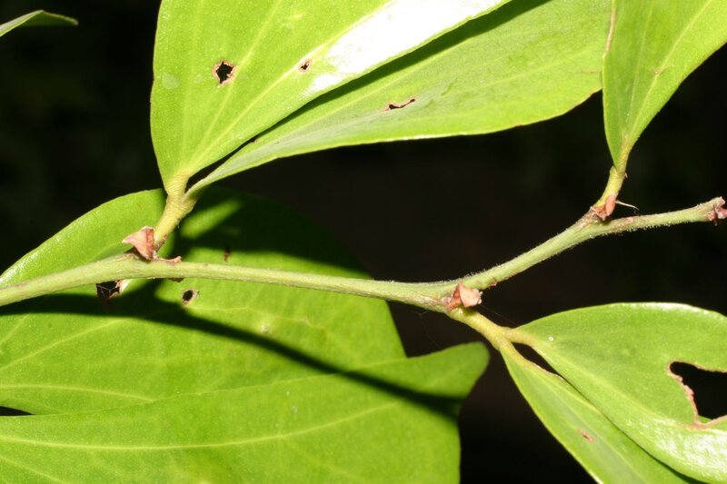
Anordnung
- wechselständig
Struktur
- gefingert
Form
- eiförmig oder elliptisch
Rand
- ganzrandig
Nervatur
- palmat
Links
- African Plant Database Namen, Synonymie und Verbreitung
- World Flora Online Beschreibungen, Verbreitung und Bibliographie
- JSTOR Plants Digitalisierte Typusbelege, Beschreibungen und Nutzung
- IPNI International Plant Names Index
- Tropicos Nomenklatur, Literatur, Verbreitung und Sammlungen
- GBIF Global Biodiversity Information Facility
- iNaturalist Fotobeobachtungen
- Google Images Bilder
- Zimbabwe Flora Onlineflora