Großgruppe
Dicots / dicotylédones / Zweikeimblättrige
Familie
Rubiaceae
Gattung
Empogona
Taxon
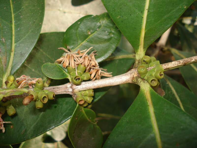
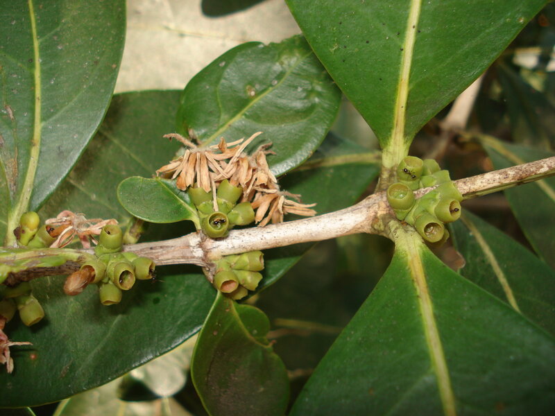
Empogona coriacea (Sond.) J.Tosh & Robbr.
Synonyme
Tricalysia coriacea (Benth.) Hiern
Vernakularname
Region
-
Ostafrika
-
Südliches Afrika
Lebensform
- Phanerophyt
Wuchsform
- Strauch
- Baum
- holzig
Weitere Merkmale
Farbe
-
rosa
-
weiß
Symmetrie
- radiär-symmetrisch
Blütenstand
- einzel- oder wenigblütig
Blütenkrone
- (z.T.) verwachsen
Anzahl der Blütenblätter
- 6
- >6
Anzahl der Staubblätter
- niedrig (<=10)
Typ
- Beere
Perikarp
- fleischig
Dehiszenz
- Schließfrucht
Oberfläche
- unbehaart, glatt
Anordnung
- gegenständig
Struktur
- einfach
Form
- eiförmig oder elliptisch
Rand
- ganzrandig
Nervatur
- fiedernervig
Links
- African Plant Database Namen, Synonymie und Verbreitung
- World Flora Online Beschreibungen, Verbreitung und Bibliographie
- JSTOR Plants Digitalisierte Typusbelege, Beschreibungen und Nutzung
- IPNI International Plant Names Index
- Tropicos Nomenklatur, Literatur, Verbreitung und Sammlungen
- GBIF Global Biodiversity Information Facility
- iNaturalist Fotobeobachtungen
- Google Images Bilder
- Zimbabwe Flora Onlineflora