Großgruppe
Dicots / dicotylédones / Zweikeimblättrige
Familie
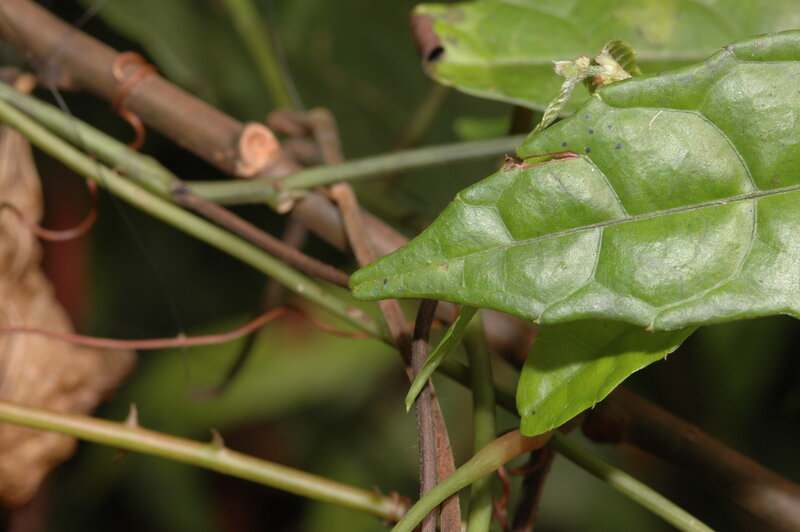
Vitaceae
Gattung
Cissus
Taxon
Cissus diffusiflora (Baker) Planch.
Synonyme
Vernakularname
Region
-
Westafrika
-
Zentralafrika
-
Ostafrika
Lebensform
- Hemicryptophyt
Wuchsform
- Schlingpflanze
- Kraut
Weitere Merkmale
Farbe
-
grün
-
orange
Symmetrie
- radiär-symmetrisch
Blütenstand
- büschelig
- rispig
Blütenkrone
- frei
Anzahl der Blütenblätter
- 4
Anzahl der Staubblätter
- niedrig (<=10)
Typ
Perikarp
- fleischig
Dehiszenz
- Schließfrucht
Oberfläche
Anordnung
- wechselständig
Struktur
- einfach
Form
- länglich bis linear
- eiförmig oder elliptisch
Rand
- gesägt, gekerbt, etc.
Nervatur
- fiedernervig
Links
- African Plant Database Namen, Synonymie und Verbreitung
- World Flora Online Beschreibungen, Verbreitung und Bibliographie
- JSTOR Plants Digitalisierte Typusbelege, Beschreibungen und Nutzung
- IPNI International Plant Names Index
- Tropicos Nomenklatur, Literatur, Verbreitung und Sammlungen
- GBIF Global Biodiversity Information Facility
- iNaturalist Fotobeobachtungen
- Google Images Bilder
- Zimbabwe Flora Onlineflora