Großgruppe
Monocots / monocotylédones / Einkeimblättrige
Familie
Costaceae
Gattung
Costus
Taxon
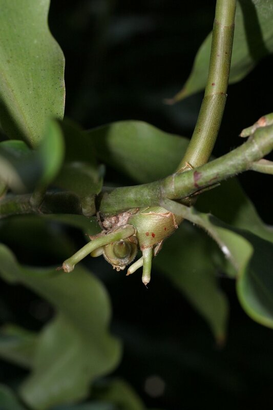
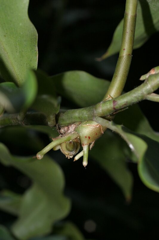
Costus afer Ker Gawl.
Synonyme
Vernakularname
Region
-
Westafrika
-
Zentralafrika
-
Ostafrika
Lebensform
- Geophyt
Wuchsform
- Kraut
Weitere Merkmale
Farbe
-
rosa
-
weiß
Symmetrie
- zygomorph
Blütenstand
- köpfchenförmig
- ährig
Blütenkrone
- (z.T.) verwachsen
Anzahl der Blütenblätter
- 3
Anzahl der Staubblätter
- niedrig (<=10)
Typ
- Kapsel
Perikarp
- fleischig
Dehiszenz
- Streu- oder Spaltfrucht
Oberfläche
Anordnung
- wechselständig
Struktur
- einfach
Form
- länglich bis linear
- eiförmig oder elliptisch
Rand
- ganzrandig
Nervatur
- parallelnervig
Links
- African Plant Database Namen, Synonymie und Verbreitung
- World Flora Online Beschreibungen, Verbreitung und Bibliographie
- JSTOR Plants Digitalisierte Typusbelege, Beschreibungen und Nutzung
- IPNI International Plant Names Index
- Tropicos Nomenklatur, Literatur, Verbreitung und Sammlungen
- GBIF Global Biodiversity Information Facility
- iNaturalist Fotobeobachtungen
- Google Images Bilder
- Zimbabwe Flora Onlineflora