Großgruppe
Dicots / dicotylédones / Zweikeimblättrige
Familie
Passifloraceae
Gattung
Adenia
Taxon
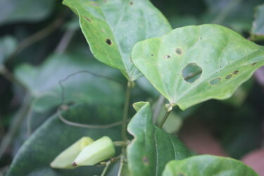
Adenia lobata (Jacq.) Engl.
Synonyme
Vernakularname
Region
-
Westafrika
-
Zentralafrika
-
Ostafrika
-
Südliches Afrika
Lebensform
- Phanerophyt
Wuchsform
- Schlingpflanze
Weitere Merkmale
Farbe
-
grün
-
weiß
-
gelb
Symmetrie
- radiär-symmetrisch
Blütenstand
Blütenkrone
- (z.T.) verwachsen
Anzahl der Blütenblätter
Anzahl der Staubblätter
Typ
Perikarp
Dehiszenz
Oberfläche
Anordnung
- wechselständig
Struktur
- einfach
Form
- herzförmig
- kreisrund
Rand
- ganzrandig
Nervatur
Links
- African Plant Database Namen, Synonymie und Verbreitung
- World Flora Online Beschreibungen, Verbreitung und Bibliographie
- JSTOR Plants Digitalisierte Typusbelege, Beschreibungen und Nutzung
- IPNI International Plant Names Index
- Tropicos Nomenklatur, Literatur, Verbreitung und Sammlungen
- GBIF Global Biodiversity Information Facility
- iNaturalist Fotobeobachtungen
- Google Images Bilder
- Zimbabwe Flora Onlineflora