Großgruppe
Dicots / dicotylédones / Zweikeimblättrige
Familie
Ebenaceae
Gattung
Diospyros
Taxon
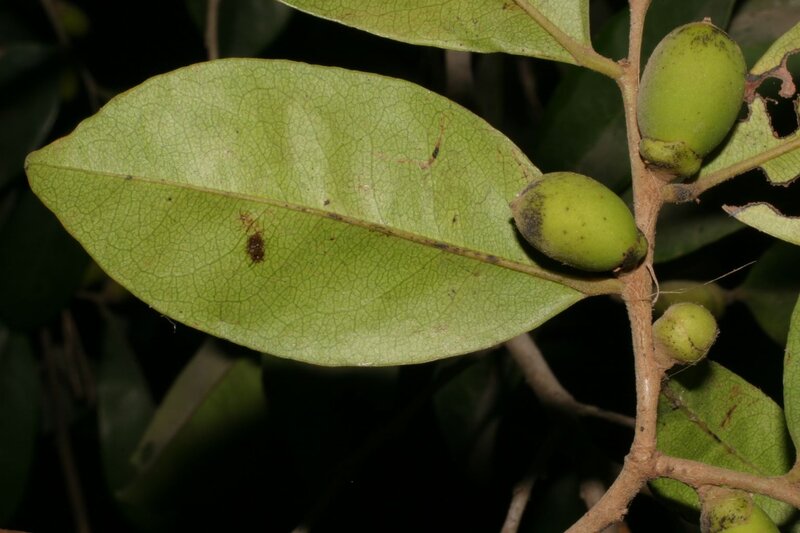
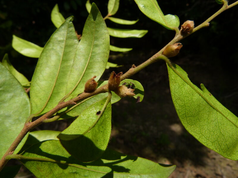
Diospyros ferrea (Willd.) Bakh.
Synonyme
Vernakularname
Region
-
Westafrika
-
Zentralafrika
-
Ostafrika
-
Südliches Afrika
Lebensform
- Phanerophyt
Wuchsform
- Strauch
- Baum
- holzig
Weitere Merkmale
- stammblütig
Farbe
-
weiß
Symmetrie
- radiär-symmetrisch
Blütenstand
- zymös
- büschelig
Blütenkrone
- (z.T.) verwachsen
Anzahl der Blütenblätter
- 3
Anzahl der Staubblätter
- hoch (>10)
- niedrig (<=10)
Typ
- Beere
Perikarp
- fleischig
Dehiszenz
- Schließfrucht
Oberfläche
- unbehaart, glatt
- behaart
Anordnung
- wechselständig
Struktur
- einfach
Form
- eiförmig oder elliptisch
Rand
- ganzrandig
Nervatur
- fiedernervig
Links
- African Plant Database Namen, Synonymie und Verbreitung
- World Flora Online Beschreibungen, Verbreitung und Bibliographie
- JSTOR Plants Digitalisierte Typusbelege, Beschreibungen und Nutzung
- IPNI International Plant Names Index
- Tropicos Nomenklatur, Literatur, Verbreitung und Sammlungen
- GBIF Global Biodiversity Information Facility
- iNaturalist Fotobeobachtungen
- Google Images Bilder
- Zimbabwe Flora Onlineflora