Großgruppe
Dicots / dicotylédones / Zweikeimblättrige
Familie
Malvaceae
Gattung
Leptonychia
Taxon
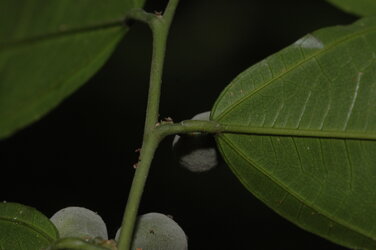
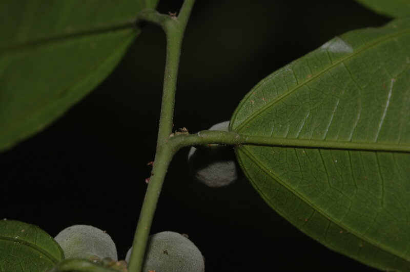
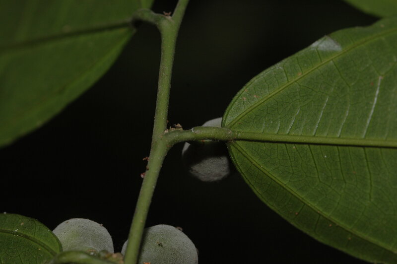
Leptonychia lasiogyne K. Schum.
Synonyme
Vernakularname
Region
-
Zentralafrika
Lebensform
- Phanerophyt
Wuchsform
- Strauch
- holzig
Weitere Merkmale
Farbe
Symmetrie
- radiär-symmetrisch
Blütenstand
- rispig
Blütenkrone
Anzahl der Blütenblätter
- 5
Anzahl der Staubblätter
- niedrig (<=10)
Typ
- Kapsel
Perikarp
Dehiszenz
- Streu- oder Spaltfrucht
Oberfläche
Anordnung
- wechselständig
Struktur
- einfach
Form
- länglich bis linear
- eiförmig oder elliptisch
Rand
- ganzrandig
Nervatur
- dreinervig
Links
- African Plant Database Namen, Synonymie und Verbreitung
- World Flora Online Beschreibungen, Verbreitung und Bibliographie
- JSTOR Plants Digitalisierte Typusbelege, Beschreibungen und Nutzung
- IPNI International Plant Names Index
- Tropicos Nomenklatur, Literatur, Verbreitung und Sammlungen
- GBIF Global Biodiversity Information Facility
- iNaturalist Fotobeobachtungen
- Google Images Bilder
- Zimbabwe Flora Onlineflora