Großgruppe
Dicots / dicotylédones / Zweikeimblättrige
Familie
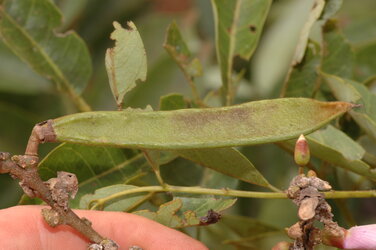
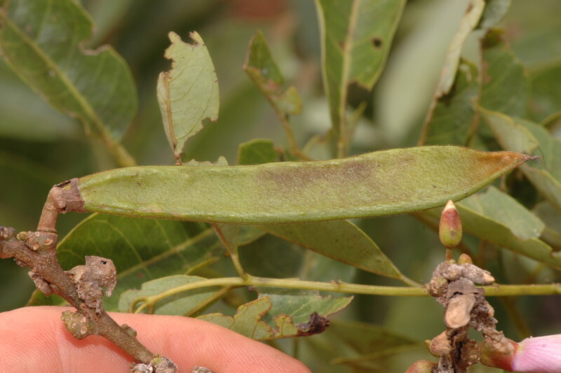
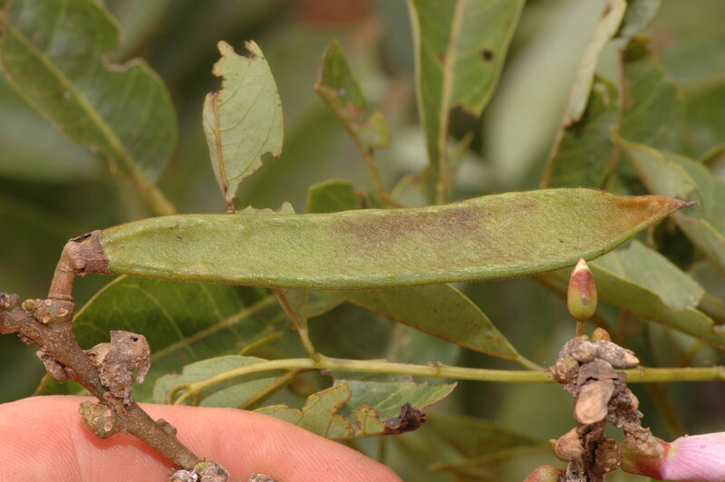
Fabaceae
Gattung
Millettia
Taxon
Millettia drastica Welw. ex Baker
Synonyme
Vernakularname
Region
-
Zentralafrika
-
Südliches Afrika
Lebensform
- Phanerophyt
Wuchsform
- Strauch
- Baum
- holzig
Weitere Merkmale
Farbe
-
blau
-
lila
Symmetrie
- zygomorph
Blütenstand
- traubig
Blütenkrone
- (z.T.) verwachsen
Anzahl der Blütenblätter
- 5
Anzahl der Staubblätter
- niedrig (<=10)
Typ
- Hülse
Perikarp
Dehiszenz
- Streu- oder Spaltfrucht
Oberfläche
- unbehaart, glatt
- behaart
Anordnung
- wechselständig
Struktur
- gefiedert
Form
- länglich bis linear
- eiförmig oder elliptisch
Rand
- ganzrandig
Nervatur
- fiedernervig
Links
- African Plant Database Namen, Synonymie und Verbreitung
- World Flora Online Beschreibungen, Verbreitung und Bibliographie
- JSTOR Plants Digitalisierte Typusbelege, Beschreibungen und Nutzung
- IPNI International Plant Names Index
- Tropicos Nomenklatur, Literatur, Verbreitung und Sammlungen
- GBIF Global Biodiversity Information Facility
- iNaturalist Fotobeobachtungen
- Google Images Bilder
- Zimbabwe Flora Onlineflora